シティテラス志木は志木駅徒歩8分に建設される、8階建て総戸数456戸で2027年3月下旬に引き渡しが予定されています

どの棟がおすすめですか?

価格予想してください!
将来値上りしますか?
不動産
資産価値目線からのファーストインプレッションになります
販売価格がどうなるか、これにかかっています
【結論】
- 坪330万円70㎡換算で7,000万円と予想
- 田の字3LDKの間取りが多くなりそう
- 私なら日照を優先してエントランスから距離のあるD棟を選びます
- 想定以上の価格ならドライに撤退することをおすすめします
私はこれまで3回の自宅マンション売買で資産形成に成功してきました
この記事を読むことで上記結論の理解が深まります
ぜひ最後までお読みください
物件概要

出典;シティテラス志木公式HP
- 所在地:埼玉県朝霞市朝志ヶ丘一丁目1532番10他(地番)
- 交通:東武東上線志木駅徒歩8分
- 総戸数:456戸
- 敷地面積:15,607.67㎡
- 建物竣工:2027年2月中旬
- 売主:住友不動産株式会社、近鉄不動産株式会社、京浜急行電鉄株式会社
- 施工会社:株式会社長谷工コーポレーション
- 管理会社:住友不動産建物サービス株式会社
- 駐車場:未定
- 駐輪場:未定
志木駅からの地下鉄直通始発電車が便利

出典;シティテラス志木公式HP
東武東上線は有楽町線、副都心線との直通電車が多く、始発の設定もあり着席チャンスに恵まれています
朝時間帯は終着池袋の急行でも25分かかり、各駅停車の地下鉄直通と5分しか違いません
私なら座ることを優先して始発電車に乗ります
帰宅時も地下鉄線内での乗り降りが多いので座れる可能性が高いですね
私が若かった30年前と比べれば通勤電車の混雑もだいぶ緩和されました
志木駅東口は商業施設充実
志木駅は東武東上線の成増-川越間ではもっとも駅前商業施設が充実していますマルイ

スーパー、レストラン、カフェ、衣類、日用品、家電とすべて揃っています
8階には行政施設も入っているのも嬉しいところ
エキア

飲食店を中心に41店舗も入っています
間取りと価格予想【坪330万円】※4階想定

坪単価330万円と予想しました
60㎡台後半の間取りを多くし、7,000万円を切る価格設定が現実的です
総戸数456戸ですから坪350万以上といった高値追求はしにくいでしょう
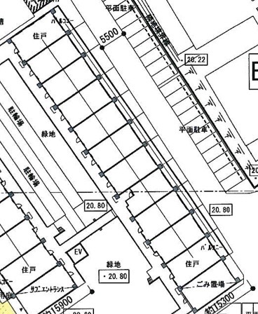
公式HPにはまだ間取りの掲載がありませんので、朝霞市HPの図面から考察していきます

画像出典;令和6年度(2024年度)開発公開情報(朝霞市公式HP)
図面から読み取れることは以下のとおり- 70㎡前後3LDKの間取りが中心
- エレベーター3機
- 敷地出入口は北側接道部のみ
建物の向きは3種類
- A棟B棟 ➡︎ 西向き
- C棟D棟 ➡︎ 南西向き
- E棟F棟 ➡︎ 東向き
A棟 西向き

日照:◯△
眺望:◯△
エントランスからの距離:◯
B棟 西向き

日照:◯△
眺望:◯ ※公園ビュー
エントランスからの距離:◯△
C棟 南西向き

日照:◯
眺望:◯〜△ ※線路ビューは好みによる
エントランスからの距離:△
D棟 南西向き

日照:◯
眺望:◯〜△ ※線路ビューは好みによる
エントランスからの距離:△
E棟 東向き

日照:◯△
眺望:◯△
エントランスからの距離:◯△
F棟 東向き

日照:◯△
眺望:◯△
エントランスからの距離:◯

キウイさんならどこにしますか?
不動産
日照優先で線路ビューも好きなのでD棟にします!

エントランスから遠いところですね
不動産
そのぶん割安な価格に期待します
周辺中古との比較
シティテラス志木の敷地東側に隣接するジェネシティと比較してみましょうジェネシティ
- 竣 工;2004年1月(築21年)
- 交 通;東武東上線武蔵野線 朝霞台駅徒歩7分
- 中古相場;坪200万円、70㎡換算で4,200万円ほど
多少高くても新築がいい、2027年まで入居を待てるならシティテラス志木の購入にチャレンジ、築21年を許容できるならジェネシティの中古を購入するのも賢い選択になります
シティテラス志木竣工後にはジェネシティも連れ高になると予想します総評 投資目線からの私の見解

都心マンションは高くなりすぎ、もはや富裕層や外国人による投資商品になってきました
資金力がある方なら都心物件にチャレンジし値上り益を狙うのもアリでしょう
一般の会社員が都心まで通勤したい、それで現実的に買えるマンションはどこかと考えたとき、山手線各駅へ30分圏内の物件では路線によってバラツキが大きくなっています
東武東上線の成増以南では大山、上板橋の住友不動産によるタワーマンションを含む大規模再開発により周辺中古物件も坪400万円以上という水準に突入しています
埼玉県に入ると坪300万円前後で買える選択肢が出てくるなかで志木はどうでしょうか?
東武東上線の主要駅のひとつであり駅前商業施設も充実し生活利便性は高い
シティテラス志木は、タワーマンションではなく駅徒歩8分と駅近ともいえない絶妙なバランスであり、どのような価格で発表されるか注目しています
ぜひ坪330万円以下を期待しています
“資産形成の成否は家と車と投資の取り扱いにかかっています”
埼玉県内でも高額のタワーマンションが増えてきました
タワマンなら買えば値上りすると妄信して50年ローンやペアローンなどに手を出してぎりぎりの返済計画を立てないでください
大きな値上りはなくとも、無理のないローン返済、余剰資金は新NISAを利用した株式投資で長期的な資産運用、車を持たない生活の実現による支出の低減
これにより将来的な資産形成は手堅いものになります
世の中は巧みなマーケティングにより、人の承認欲求などを刺激し本来必要のないものにお金を使わせようとする広告やネット記事であふれています
それでもシティテラス志木は利用価値と資産価値を両立する可能性が見込めると判断し今回記事にしました
販売開始は2026年5月ですから価格発表を待ちたいと思います
資産価値とは、将来の売却価格から購入価格を引き算したものであり将来高く売れることだけを意味しません
いくらで買っていくらで売れたか、この二つの金額で決まります
販売価格や管理費が想定以上に高額ならばドライに撤退することをおすすめします
気に入ったから高いけどなんとか買いたい、ローンも月数万円なら追加で払えそう・・・
と視野が狭くならないようにしてください
一生で一番高い買い物になる方がほとんどでしょう
購入判断は冷静に行い、買いの物件と判断したのならすばやく大胆に動くこと
新築マンションで資産価値の高い物件を購入するノウハウのひとつです
皆さまのご参考になれば幸いです
最後までお読みいただきありがとうございました
[スムラボ編集部より] 本ブログ記事の情報は投稿日時点のものです。現在の販売情報はLifull Homesをご参照下さい。























記事にコメントする